(Video) Un avión entró al ojo del huracán 'Laura'
El video fue compartido por el equipo de investigación de la Administración Nacional Oceánica y Atmosférica de EEUU.

(Thot)

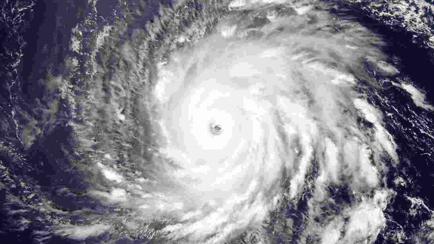
El equipo de investigación de la Administración Nacional Oceánica y Atmosférica de EEUU compartió en redes un video de un avión explorando el huracán 'Laura', que viaja con vientos de hasta 240 km/h.
Este tipo de aviones son comunes y su labor es hacer seguimiento a los huracanes para recopilar datos que permitan hacer previsiones metereológicas.
Le puede interesar:
- Mujer habría contraído coronavirus en el baño de un avión
- La filosofía de Trump es como la de un mafioso, lo que no sirve, lo destruye: John Gartner
- Con música y baile: así despidieron a joven que murió en una estampida en Perú
Nick Underwood publicó uno de los videos en tiempo real a bordo del avión Kermit.
El experto contó que a lo largo de su carrera ha completado 61 viajes, entre ellos cinco fueron atravesando el huracán 'Laura'.
Además, compartió varios paisajes de lo que ha visto durante sus viajes.






